Tajfun Ragasa povzročil dodatno uničenje na Tajvanu in Kitajskem
življenjski slog vreme nesreče dom in vrt lokalne novice okolje

Tajfun Ragasa povzročil dodatno uničenje na Tajvanu in Kitajskem

24. sep 6:42

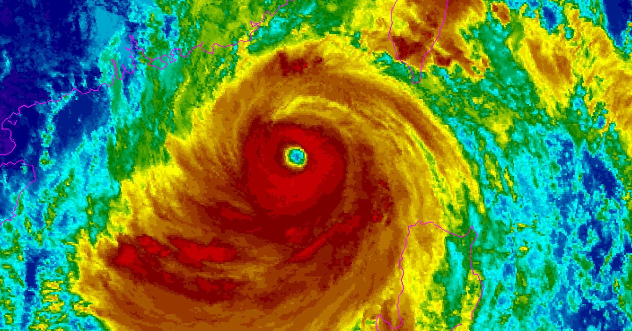
Tajfun Ragasa je po poročilih povzročil katastrofalne posledice. Na Tajvanu je zaradi poplav umrlo najmanj 14 ljudi, 124 oseb pa je pogrešanih. V okrožju Hualien je popustila naravna pregrada, kar je povzročilo dodatno razdejanje. Na Kitajskem je bilo evakuiranih 770.000 ljudi, v Hong Kongu pa je bilo ranjenih 50 ljudi.

24. sep 1:08

Super tajfun Ragasa, eden najmočnejših v zadnjih letih, je z močnimi vetrovi in dežjem prizadel Hongkong in južno Kitajsko. V Hongkongu je tajfun ustavil normalno življenje. Na Tajvanu je zahteval najmanj 14 življenj, 124 ljudi pa je pogrešanih. V provinci Guangdong na južnem Kitajskem so evakuirali milijon prebivalcev. Tajfun je prizadel tudi Filipine.

24. sep 0:58

Super tajfun Ragasa, eden najmočnejših v zadnjih letih, je z močnimi vetrovi in dežjem prizadel Hongkong in južno Kitajsko. V Hongkongu so prekinili normalno življenje in izdali najvišje opozorilo pred nevihto. Na Kitajskem so v najmanj 10 mestih zaprli šole in podjetja. Na Tajvanu je tajfun zahteval 14 življenj in povzročil, da je 124 ljudi pogrešanih.

24. sep 2:16

Super tajfun Ragasa se je v sredo zjutraj začel premikati iz Hong Konga, kjer je zaradi orkanskih vetrov ohromil mesto. Oblasti so izdale najstrožje opozorilo pred nevihto. Kitajska je zaradi približevanja tajfuna Ragasa odredila zaprtje šol in podjetij v vsaj 10 mestih na jugu države.

Tajfun Ragasa je po poročilih povzročil katastrofalne posledice. Na Tajvanu je zaradi poplav umrlo najmanj 14 ljudi, 124 oseb pa je pogrešanih. V okrožju Hualien je popustila naravna pregrada, kar je povzročilo dodatno razdejanje. Na Kitajskem je bilo evakuiranih 770.000 ljudi, v Hong Kongu pa je bilo ranjenih 50 ljudi.

Izvorni članki

Typhoon Ragasa batters Hong Kong and southern C...
abcnews.go.com | 24. 9. 2025 6:38
Typhoon hits Hong Kong and China after causing deaths in Taiwan and Philippines
Typhoon hits Hong Kong and China after causing ...
irishexaminer.com | 24. 9. 2025 6:30
Typhoon Ragasa batters Hong Kong and southern China
inquirer.net | 24. 9. 2025 6:19
Super Typhoon Ragasa kills 14 in eastern Taiwan...
stabroeknews.com | 24. 9. 2025 6:04
Super Typhoon Ragasa kills 14 in Taiwan
jamaicainquirer.com | 24. 9. 2025 5:52
VIDEO Supertajfun u Hong Kongu, na Tajvanu poginulo najmanje 14 ljudi, više od 100 nestalih! Ogromne poplave, kiša...
VIDEO Supertajfun u Hong Kongu, na Tajvanu pogi...
slobodnadalmacija.hr | 24. 9. 2025 5:11
Typhoon Ragasa batters Hong Kong and southern C...
vnexpress.net | 24. 9. 2025 4:39
Super Typhoon Ragasa kills 14 in Taiwan
aljazeera.com | 24. 9. 2025 4:36
T10 to be downgraded to T8 at 1.20pm
news.rthk.hk | 24. 9. 2025 4:33
Typhoon Ragasa slams into southern China’s dens...
saudigazette.com.sa | 24. 9. 2025 4:30
Typhoon Ragasa: 14 Dead, 124 Missing In Taiwan’...
zeenews.india.com | 24. 9. 2025 4:24
Taiwan: 14 killed, 124 missing after barrier la...
inquirer.net | 24. 9. 2025 4:17
Super Typhoon Ragasa Pounds Taiwan: 14 Dead, 12...
timesnownews.com | 24. 9. 2025 4:07
Super Typhoon Ragasa: 14 killed, 124 missing in...
hongkongfp.com | 24. 9. 2025 3:02
Super Typhoon Ragasa kills 14 in Taiwan, leaves...
adaderana.lk | 24. 9. 2025 2:53
Taiwan typhoon death toll hits 14, with 124 missing
japantimes.co.jp | 24. 9. 2025 2:48
Super Typhoon Ragasa: 14 dead in Taiwan, 2 in P...
livemint.com | 24. 9. 2025 2:28
14 dead, scores missing after Taiwan lake overflows
news.rthk.hk | 24. 9. 2025 2:26
14 killed by lake burst in Taiwan as Typhoon Ra...
inquirer.net | 24. 9. 2025 2:19
Ragasa moves on from HK, but T10 to persist
news.rthk.hk | 24. 9. 2025 2:16
Taiwan typhoon death toll hits 14, with 124 missing
staradvertiser.com | 24. 9. 2025 2:15
Supertifón Ragasa deja 14 muertos en Taiwán y p...
excelsior.com.mx | 24. 9. 2025 2:12
Taiwan hit by worst flood in years as Super Typ...
malaymail.com | 24. 9. 2025 2:08
14 killed, 124 missing in Taiwan after barrier ...
japantoday.com | 24. 9. 2025 2:05
World’s strongest cyclone of 2025 hits Hong Kon...
malaymail.com | 24. 9. 2025 1:56
14 killed by lake burst in Taiwan as Typhoon Ra...
bangkokpost.com | 24. 9. 2025 1:45
Taiwan typhoon death toll hits 14 with 124 missing
channelnewsasia.com | 24. 9. 2025 1:37
Super Typhoon Ragasa bursts Taiwan lake, unleas...
indianexpress.com | 24. 9. 2025 1:17
Super Typhoon Ragasa: At least 14 dead after Taiwan barrier lake bursts - top developments
Super Typhoon Ragasa: At least 14 dead after Ta...
indiatimes.com | 24. 9. 2025 1:13
Typhoon Ragasa batters Hong Kong and southern C...
koreatimes.co.kr | 24. 9. 2025 1:12
Typhoon Ragasa batters Hong Kong and southern C...
halifax.citynews.ca | 24. 9. 2025 1:08
Typhoon Ragasa batters Hong Kong and southern C...
clickondetroit.com | 24. 9. 2025 0:58
Taiwan death toll from Super Typhoon Ragasa hit...
vnexpress.net | 24. 9. 2025 0:49
14 dead in eastern Taiwan after Super Typhoon R...
vnexpress.net | 24. 9. 2025 0:49
Super Typhoon lashes Hong Kong with hurricane-f...
fbcnews.com.fj | 24. 9. 2025 0:39
Death toll climbs to 14 in eastern Taiwan after...
straitstimes.com | 24. 9. 2025 0:07
Death toll climbs to 14 in eastern Taiwan after...
straitstimes.com | 24. 9. 2025 0:07
Super Typhoon Ragasa: at least 14 killed in Tai...
theguardian.com | 23. 9. 2025 23:30
Death toll climbs to 14 in eastern Taiwan after...
reuters.com | 23. 9. 2025 22:51
Taiwan says two dead, 30 missing in east of isl...
fbcnews.com.fj | 23. 9. 2025 20:40
Schools shut, flights axed as Ragasa nears Hong...
inquirer.net | 23. 9. 2025 19:18
Hundreds trapped as typhoon triggers barrier la...
inquirer.net | 23. 9. 2025 14:05

Podobni članki

Tropska depresija povzročila poplave in zemeljske plazove na Tajvanu
vreme nesreče
Tropska depresija povzročila poplave in zemeljske plazove na Tajvanu

13. nov 9:05

Močno deževje je zajelo Tajvan zaradi tropske depresije, ki je povzročila poplave in nevarnost zemeljskih plazov. Zaradi nevihte, ki je v sredo zvečer dosegla južno okrožje Pingtung, je bilo po otoku poškodovanih 95 ljudi. Oblasti so izvedle evakuacije.

Kitajska zaostrila ukrepe proti Japonski zaradi Tajvana: vojaške vaje in opozorila
gospodarstvo finance
Kitajska zaostrila ukrepe proti Japonski zaradi Tajvana: vojaške vaje in opozorila
4 posodobitev 15. nov 11:39

Kitajska je po izjavah japonske premierke o Tajvanu zaostrila odziv z napovedjo tridnevnih vojaških vaj z ostrostrelstvom v rumenem morju in povečanim pritiskom na Japonsko. Kljub kitajskim opozorilom je bilo na letališču Pudong v Šanghaju opaziti dolge vrste kitajskih potnikov, ki so se pripravljali na let v Osako. Kitajska je tudi aktivirala 26 vojaških letal za patruliranje v bližini Tajvana. Strokovnjaki pozivajo Tajvan k previdnosti in izogibanju vlogi problematičnega akterja v zaostrenih odnosih med Kitajsko in Japonsko.

Kitajska uradno protestirala zaradi izjav japonske premierke o Tajvanu
mednarodni odnosi gospodarstvo
Kitajska uradno protestirala zaradi izjav japonske premierke o Tajvanu
4 posodobitev 14. nov 16:59

Kitajske oblasti so ostro protestirale zaradi izjav japonske premierke Sanae Takaichi o Tajvanu. Kitajski veleposlanik na Japonskem Wu Jianghao se je sestal z japonskim podministrom za zunanje zadeve Takehirom Funakoshijem, da bi uradno izrazil protest. Več kitajskih ministrstev in vladnih agencij je obsodilo izjave japonske premierke.

Hudo deževje v osrednji regiji Vietnama povzročilo poplave in zemeljske plazove, sever države pa zajel močan mraz
nesreče okolje
Hudo deževje v osrednji regiji Vietnama povzročilo poplave in zemeljske plazove, sever države pa zajel močan mraz

17. nov 6:04

Osrednji Vietnam se sooča s hudimi poplavami in zemeljskimi plazovi zaradi obilnega deževja, ki je prizadelo zlasti gorata območja Hueja. Premier je pozval k okrepljeni pripravljenosti na deževje in poplave ter zahteval oceno ranljivih območij in evakuacijo prebivalstva. Sever države medtem pričakuje močan mrzel val, ki bo prinesel padec temperatur. Oblasti opozarjajo na nevarnost poplav in zemeljskih plazov v provincah od Ha Tinhe do Khanh Hoa.

Entitete in sentiment

Entiteta Sentiment
Hongkong Negativno
Tajfun Ragasa zelo negativno
Guangdong nevtralno
Kitajska Negativno
Filipini zelo negativno
Tajvan zelo negativno
CNN nevtralno
Tajska Negativno
Hualien zelo negativno
Reuters nevtralno

Zakaj je novica relevantna za Slovenijo

Dogodek sicer ni neposredno povezan s Slovenijo, vendar opozarja na nevarnosti ekstremnih vremenskih pojavov in podnebne spremembe.