Orkan Melissa, najmočnejši v zadnjih dveh stoletjih, pustoši po Jamajki in ogroža ZDA
vreme nesreče dom in vrt okolje lokalne novice

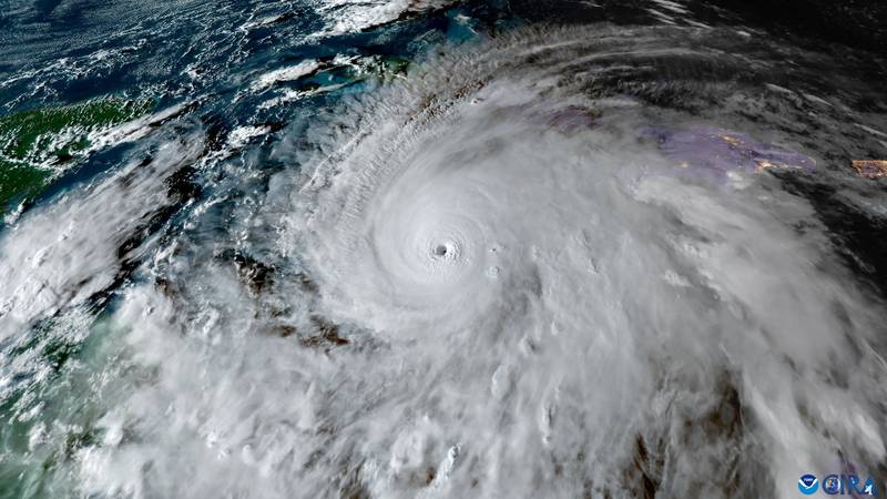
Orkan Melissa, najmočnejši v zadnjih dveh stoletjih, pustoši po Jamajki in ogroža ZDA

28. okt 6:00

Orkan Melissa, ki je dosegel peto kategorijo in velja za najmočnejšega v zgodovini merjenj na Jamajki, je začel pustošiti po otoku. Že pred prihodom orkana so umrle tri osebe. Zunanji pasovi orkana so Jamajko že pričeli bičati z vetrovi, ki dosegajo hitrost do 282 km/h. Meteorologi opozarjajo na katastrofalne poplave, zemeljske plazove in obsežno škodo.

28. okt 6:27

Orkan Melissa, najmočnejši orkan v zadnjih 174 letih, je dosegel Jamajko kot orkan 5. kategorije. Meteorologi so napovedali katastrofalne razmere in smrtno nevarne poplave. Ocenjujejo, da bo območje južne Jamajke zajel do 4 metre visok val. Število žrtev v Karibih je naraslo na sedem.

28. okt 6:40

Jamajka se je pripravljala na najmočnejši orkan v zgodovini, imenovan Melissa, z vetrovi do 282 km/h. Že pred prihodom orkana so umrle tri osebe. Ameriški meteorologi so opozarjali na katastrofalne in smrtno nevarne razmere.

28. okt 7:00

Jamajka se pripravlja na udar orkana Melissa, ki je najmočnejši orkan letošnjega leta in potencialno najmočnejši, ki je kdajkoli prizadel otok. Že pred prihodom orkana so umrle tri osebe. Oblasti pozivajo prebivalce, naj ostanejo v zaprtih prostorih, saj se orkan kategorije 5 približuje karibski državi.

28. okt 9:25

Orkan Melissa, najmočnejši v zgodovini merjenj, je dosegel Jamajko s sunki vetra do 280 km/h. Rdeči križ ocenjuje, da bi lahko bilo prizadetih vsaj 1,5 milijona ljudi. Že pred prihodom orkana so umrle tri osebe.

Orkan Melissa, ki so ga zabeležili kot najmočnejšega v zadnjih dveh stoletjih, je dosegel Jamajko kot orkan 5. kategorije, z vetrovi do 280 km/h in obilnim deževjem. Otok se pripravlja na katastrofalne posledice, oblasti pa opozarjajo na poplave in zemeljske plazove. Sedem ljudi je že umrlo zaradi orkana na Karibih. Obenem se ZDA pripravljajo na nevarne razmere na obali.

Izvorni članki

Hurricane Melissa closes in on Jamaica
kswt.com | 28. 10. 2025 12:52
Hurricane tracker reveals Melissa's path as strongest storm in history moves in on Jamaica and sparks US coastal threats
Hurricane tracker reveals Melissa's path as str...
dailymail.co.uk | 28. 10. 2025 12:33
The Latest: Category 5 Hurricane Melissa set to...
clickondetroit.com | 28. 10. 2025 12:28
Hurricane Melissa expected to bring catastrophi...
cbsnews.com | 28. 10. 2025 12:18
Jamaica awaits Hurricane Melissa's landfall as ...
cbsnews.com | 28. 10. 2025 12:13
Hurricane Melissa Is Set To Hit Jamaica As Its ...
theyeshivaworld.com | 28. 10. 2025 12:00
Hurricane Melissa closes in on Jamaica as tourists from Florida brace for Cat 5 storm
Hurricane Melissa closes in on Jamaica as touri...
fox35orlando.com | 28. 10. 2025 11:51
„Psychologischer Marathon“: Jamaika wartet auf „Melissa“
„Psychologischer Marathon“: Jamaika wartet auf ...
wiesbadener-kurier.de | 28. 10. 2025 11:47
Ouragan Mélissa en Jamaïque: au moins 1,5 milli...
defimedia.info | 28. 10. 2025 11:34
Hurricane Melissa has 'all the ingredients to be catastrophic', scientists warn - as the Category 5 storm closes in on Jamaica
Hurricane Melissa has 'all the ingredients to b...
dailymail.co.uk | 28. 10. 2025 11:32
Hurricane Melissa bears down on Jamaica as its strongest storm in recorded history
Hurricane Melissa bears down on Jamaica as its ...
toledoblade.com | 28. 10. 2025 11:28
Newsdeck: WMO warns Hurricane Melissa to be Jam...
dailymaverick.co.za | 28. 10. 2025 10:53
Već troje mrtvih na Jamajci u dolasku uragana M...
novilist.hr | 28. 10. 2025 10:43
Hurricane Melissa expected to make landfall in Jamaica on Tuesday
Hurricane Melissa expected to make landfall in ...
foxchicago.com | 28. 10. 2025 10:39
1,400 people evacuated from hurricane’s path
tribune242.com | 28. 10. 2025 10:36
WMO warns Hurricane Melissa to be Jamaica's worst storm this century
WMO warns Hurricane Melissa to be Jamaica'...
thestar.com.my | 28. 10. 2025 10:28
DIRECT. Ouragan Melissa : le "monstre" se rapproche de la Jamaïque, au moins 1,5 million de personnes pourraient être touchées selon la Croix-Rouge
DIRECT. Ouragan Melissa : le "monstre" se rappr...
ladepeche.fr | 28. 10. 2025 10:22
Nekoliko mrtvih uslijed uragana na Jamajki: 'Ne mislim da to možemo izdržati'
Nekoliko mrtvih uslijed uragana na Jamajki: 'Ne...
tportal.hr | 28. 10. 2025 10:20
Video: Plane flies through world’s strongest st...
aljazeera.com | 28. 10. 2025 9:45
Hurricane Melissa bears down on Jamaica and thr...
wwaytv3.com | 28. 10. 2025 9:16
Jamaica teme destrucción masiva al acercarse gi...
excelsior.com.mx | 28. 10. 2025 9:15
Alerta en el Caribe: el "catastrófico" huracán Melissa avanza hacia Jamaica con vientos de más de 280km/h
Alerta en el Caribe: el "catastrófico" huracán ...
elnacional.cat | 28. 10. 2025 9:05
Tourists pray for their lives as 175mph Hurricane Melissa barrels towards Jamaica: 'Scared' families take shelter as hotels prepare for island's worst ever storm that is expected to wreak 'catastrophic' damage
Tourists pray for their lives as 175mph Hurrica...
dailymail.co.uk | 28. 10. 2025 8:57
Hurricane Melissa hurtles towards Jamaica with island braced for world's most powerful storm this year: Live updates
Hurricane Melissa hurtles towards Jamaica with ...
dailymail.co.uk | 28. 10. 2025 8:54
Kingston: Eindrückliche Warnung vor Hurrikan "Melissa" auf Jamaika
Kingston: Eindrückliche Warnung vor Hurrikan "M...
kleinezeitung.at | 28. 10. 2025 8:29
Neverovatan prizor: Kamere snimile „srce” uragana /video/
Neverovatan prizor: Kamere snimile „srce” uraga...
sputnikportal.rs | 28. 10. 2025 8:10
Jamaica braces for Hurricane Melissa, island’s ...
jamaicainquirer.com | 28. 10. 2025 8:06
Melissa set to slam Jamaica as its strongest hu...
cbsnews.com | 28. 10. 2025 7:57
Hurricane Melissa, strongest storm of 2025, due...
euroweeklynews.com | 28. 10. 2025 7:56
Nezabilježena oluja pogodila Jamajku, vjetrovi ...
portalanalitika.me | 28. 10. 2025 7:49
Hurricane Melissa: Jamaica braces for strongest...
business-standard.com | 28. 10. 2025 7:43
Hurricane Melissa live: Category 5 storm nears ...
aljazeera.com | 28. 10. 2025 7:34
Ouagan «Melissa»: déjà trois morts en Jamaïque
tvanouvelles.ca | 28. 10. 2025 7:29
Hurricane Melissa LIVE: Three dead as Jamaica b...
standard.co.uk | 28. 10. 2025 7:23
Jamaica braces for Hurricane Melissa, island’s ...
aljazeera.com | 28. 10. 2025 7:09
Hurricane Melissa: Jamaica braces for world’s s...
namibian.com.na | 28. 10. 2025 7:00
Hurricane Melissa to batter Jamaica as the isla...
thejournal.ie | 28. 10. 2025 6:54
Ouragan Melissa : les Caraïbes en alerte maximale, déjà trois morts en Jamaïque avant le passage de "bourrasques potentiellement mortelles"
Ouragan Melissa : les Caraïbes en alerte maxima...
midilibre.fr | 28. 10. 2025 6:50
Uragan Melisa pogodio Karibe: Sedam poginulih u najjačoj oluji 2025. godine
Uragan Melisa pogodio Karibe: Sedam poginulih u...
naslovi.net | 28. 10. 2025 6:50
Hurricane Melissa to batter Jamaica as island’s...
irishtimes.com | 28. 10. 2025 6:32
Jamajka se priprema za najgori uragan u istorij...
telegraf.rs | 28. 10. 2025 6:21
Jamaica braces for Hurricane Melissa landfall
wol.com | 28. 10. 2025 6:16
Hurricane Melissa begins lashing Jamaica as ‘c...
stabroeknews.com | 28. 10. 2025 6:01
« Je ne pense pas qu’une seule infrastructure puisse résister » : l’ouragan Melissa s’apprête à frapper la Jamaïque
« Je ne pense pas qu’une seule infrastructure p...
letelegramme.fr | 28. 10. 2025 5:42
Hurricane Melissa latest updates: category 5 st...
theguardian.com | 28. 10. 2025 5:41
Hurricane Melissa to batter Jamaica as the island’s strongest storm on record
Hurricane Melissa to batter Jamaica as the isla...
irishexaminer.com | 28. 10. 2025 5:33
Hurricane Melissa: Jamaica braces for world's s...
saudigazette.com.sa | 28. 10. 2025 4:56
Hurricane Melissa to batter Jamaica as the isla...
clickondetroit.com | 28. 10. 2025 4:20
Hurricane Melissa LIVE: Jamaica prepares for category 5 storm to make landfall; ‘catastrophic and life-threatening winds’ forecast
Hurricane Melissa LIVE: Jamaica prepares for ca...
theage.com.au | 28. 10. 2025 4:11
Hurricane Melissa approaches Jamaica as Category 5 storm
Hurricane Melissa approaches Jamaica as Categor...
anews.com.tr | 28. 10. 2025 4:10
Hurricane Melissa hits category 5: Strongest storm of 2025 nears Jamaica; Caribbean braces for catastrophic floods
Hurricane Melissa hits category 5: Strongest st...
indiatimes.com | 28. 10. 2025 3:35
Jamaica braces for its strongest recorded hurricane's impact
Jamaica braces for its strongest recorded hurri...
timesofoman.com | 28. 10. 2025 3:33
Al zeker 7 doden door orkaan Melissa, 'levensbedreigende storm' nadert Jamaica
Al zeker 7 doden door orkaan Melissa, 'levensbe...
rtlnieuws.nl | 28. 10. 2025 3:10
Jamaica teme destruição em massa com chegada do...
jornaldebrasilia.com.br | 28. 10. 2025 3:03
Newsdeck: Hurricane Melissa begins lashing Jama...
dailymaverick.co.za | 28. 10. 2025 2:44
Bereits drei Tote wegen Hurrikan Melissa
Bereits drei Tote wegen Hurrikan Melissa
20min.ch | 28. 10. 2025 2:42
Hurrikan "Melissa": Verheerende Folgen in Jamai...
abendzeitung-muenchen.de | 28. 10. 2025 1:55
Hurricane Melissa- Jamaica braces for world s s...
adaderana.lk | 28. 10. 2025 1:14
Melissa's wrath: Jamaica hit by strongest storm...
thenews.com.pk | 28. 10. 2025 1:07
Hurrican Melissa Eye On Video As Category 5 Sto...
maravipost.com | 28. 10. 2025 1:01
Tres muertos en Jamaica antes de llegar huracán Melissa
diariolibre.com | 28. 10. 2025 0:09
Jamaica braces for Hurricane Melissa landfall
cbsnews.com | 28. 10. 2025 0:07
Jamaica braces for the strongest storm on Earth this year as Hurricane Melissa barrels toward the island, triggering mass evacuations
Jamaica braces for the strongest storm on Earth...
dailymail.co.uk | 28. 10. 2025 0:01
Jamaica espera el huracán Melissa mientras Cuba...
diariolibre.com | 28. 10. 2025 0:01
Melissa heads towards Jamaica as Category 5 storm
news.rthk.hk | 27. 10. 2025 23:47
Melissa forces hurricane hunter aircraft to tur...
cbsnews.com | 27. 10. 2025 23:42
Melissa desata pánico y resistencia en Jamaica:...
excelsior.com.mx | 27. 10. 2025 23:12
Alerta en Jamaica y Cuba: Huracán Melissa amenaza con lluvias torrenciales y deslizamientos
Alerta en Jamaica y Cuba: Huracán Melissa amena...
elvocero.com | 27. 10. 2025 22:59
Jamaica: Cerca de 50,000 personas están sin luz...
diariolibre.com | 27. 10. 2025 22:50
Monster Category 5 Hurricane Melissa barrels to...
nbcnews.com | 27. 10. 2025 22:48
Hurricane Melissa could be strongest storm to e...
cbsnews.com | 27. 10. 2025 22:35
Hurricane Melissa bears down on Jamaica
bostonherald.com | 27. 10. 2025 22:24
Jamaica in path of ‘life-threatening’ category ...
fbcnews.com.fj | 27. 10. 2025 22:20
Monster Hurricane Melissa bears down on Jamaica, its strongest in 174 years
Monster Hurricane Melissa bears down on Jamaica...
smh.com.au | 27. 10. 2025 21:58
Fear of mass destruction in Jamaica as Hurrican...
bangkokpost.com | 27. 10. 2025 21:45
Hurricane Melissa begins lashing Jamaica as 'ca...
channelnewsasia.com | 27. 10. 2025 21:38
Hurricane Melissa maintains Category 5 strength...
bnonews.com | 27. 10. 2025 21:29
Hurricane Melissa strengthens to Category 5, th...
wishtv.com | 27. 10. 2025 21:22
Hurricane Melissa begins lashing Jamaica as ‘ca...
freemalaysiatoday.com | 27. 10. 2025 21:06
Melissa Expected To Make Landfall As A Category 5 Storm
crooksandliars.com | 27. 10. 2025 20:39
Organizations Position Themselves To Help As Hu...
newsamericasnow.com | 27. 10. 2025 20:37
Hurricane Melissa begins lashing Jamaica as 'ca...
triblive.com | 27. 10. 2025 20:15
Hurricane Melissa begins lashing Jamaica as ‘ca...
straitstimes.com | 27. 10. 2025 20:05

Podobni članki

Močan atmosferski pojav prizadel južno Kalifornijo, grozijo poplave in zemeljski plazovi
okolje nesreče
Močan atmosferski pojav prizadel južno Kalifornijo, grozijo poplave in zemeljski plazovi

16. nov 2:04

Južno Kalifornijo je v soboto zajel močan atmosferski pojav, imenovan atmosferska reka, ki je povzročil opozorila o poplavah, zlasti na območjih obale okrožja Los Angeles, ki so jih nedavno prizadeli požari. Poročali so o močnem deževju, ki je na obalnih območjih dosegalo tudi do 2,5 centimetra na uro. Zabeležili so že manjše zemeljske plazove, prebivalce pa pozivajo, naj ostanejo v zaprtih prostorih.

Preživeli tragedije v Armeru opozarjajo na nevarnost ob 40. obletnici
dom in vrt nesreče
Preživeli tragedije v Armeru opozarjajo na nevarnost ob 40. obletnici

13. nov 7:04

Diana Jiménez je kot desetletna deklica preživela uničujoč plaz, ki je sledil vulkanskemu izbruhu v Armeru. Ob 40. obletnici tragedije preživeli opozarjajo na opomin, ki ga ta dogodek še vedno nosi. Armero je bil popolnoma izbrisan, ostal je le siv madež v pokrajini.

Neurje Claudia povzročilo izpade električne energije in poplave na Irskem
lokalne novice življenjski slog
Neurje Claudia povzročilo izpade električne energije in poplave na Irskem
4 posodobitev 15. nov 13:14

V obalnem mestu Albufeira na portugalski Algarve je domnevni tornado zahteval najmanj eno smrtno žrtev in več deset ranjenih. Med žrtvami je tudi 85-letna Britanka. Močni vetrovi so povzročili precejšnjo škodo, pri čemer je bilo poškodovanih najmanj 19 ljudi, ko se je porušil del strehe restavracije.

Entitete in sentiment

Entiteta Sentiment
Melissa zelo negativno
Jamajka zelo negativno
Združene države Amerike Negativno
Nacionalni center za orkane nevtralno
CBS nevtralno
Jason Allen nevtralno
Kingston nevtralno
Rob Marciano nevtralno
Philip 'Brave' Davis nevtralno
Bahami Negativno
Kuba Negativno
ABC nevtralno
Haiti zelo negativno
Dominikanska republika zelo negativno
WMO nevtralno
Ameriški meteorologi Negativno
Premier Jamajke nevtralno
Andrew Holness nevtralno
CNN nevtralno
Karibi Negativno
Reuters nevtralno
Oklahoma Negativno
Ricardo Makyn nevtralno
Desmond McKenzie nevtralno
Rdeči križ nevtralno
Ameriško vojno letalstvo nevtralno
Jamaika zelo negativno

Zakaj je novica relevantna za Slovenijo

Dogajanje je sicer daleč, vendar opozarja na globalne podnebne spremembe in možne posledice tudi za Slovenijo.