Orkan Melissa povzročil smrtne žrtve in uničenje na Karibih, prizadel Kubo in Jamajko
mednarodni odnosi vreme promet politika okolje dom in vrt nesreče lokalne novice

Orkan Melissa povzročil smrtne žrtve in uničenje na Karibih, prizadel Kubo in Jamajko

28. okt 23:00

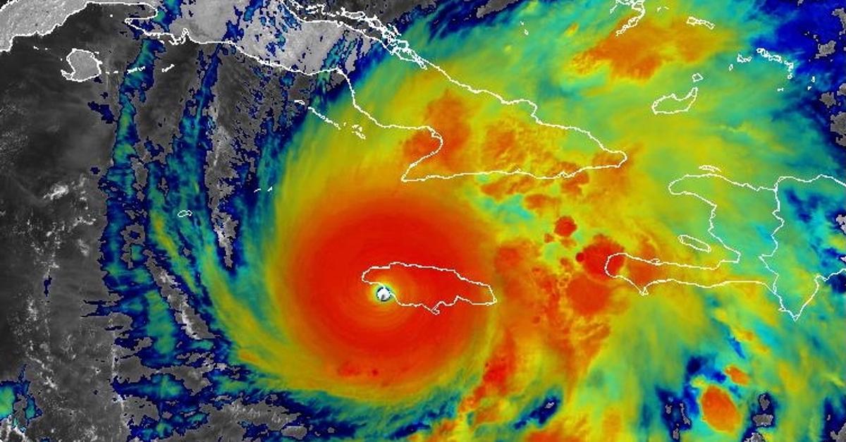
Uragan Melisa, eden najmočnejših v Atlantskem bazenu, je kot orkan pete kategorije prizadel Jamajko, povzročil katastrofalne vetrove, obilne padavine in velike poplave. Otok je pod vodo, poročajo tudi o smrtnih žrtvah. Sedaj se Melisa s silo četrte kategorije pomika proti vzhodni Kubi.

29. okt 5:29

Orkan Melissa je dosegel vzhodno Kubo kot orkan 3. kategorije z vetrovi, ki so dosegali hitrost 193 km/h, potem ko je kot orkan 5. kategorije z vetrovi s hitrostjo 298 km/h opustošil Jamajko. Na Jamajki je povzročil obsežno škodo in razglasil območje nesreče.

29. okt 5:29

Orkan Melissa je dosegel vzhodno Kubo blizu mesta Chivirico kot orkan 3. kategorije, potem ko je prizadel Jamajko z močnimi vetrovi s hitrostjo do 298 km/h. Na Jamajki je orkan povzročil veliko škodo, vključno z izruvanjem dreves in poškodovanjem zgradb.

29. okt 9:11

Orkan Melissa je po opustošenju Jamajke dosegel vzhodni del Kube, povzročil obsežne poplave in uničenje domov, Kubanci pa so ga opisali kot najhujšega doslej. Na Jamajki se je v zavetišča zateklo 25.000 ljudi, saj je orkan uničil domove in večino otoka pustil brez elektrike. Orkan je dosegel Kubo z vetrovi do 195 km/h.

29. okt 10:09

Orkan Melissa je ob prehodu čez Kubo oslabel na orkan 2. kategorije. Na Jamajki je dosegel hitrost vetra do 298 km/h (185 milj na uro) in se po intenzivnosti izenačil z rekordom iz leta 1935, s sunki vetra, ki so presegali 320 km/h (200 milj na uro).

29. okt 10:45

Orkan Melissa je po opustošenju Jamajke dosegel Kubo kot orkan 3. kategorije in nato oslabel. Na Jamajki je postal najmočnejši zabeležen orkan doslej. Na Karibih je umrlo najmanj 25 ljudi, močno deževje in poplave pa so povzročile evakuacijo več sto tisoč ljudi. Oblasti so Jamajko razglasile za območje nesreče.

29. okt 12:25

Orkan Melissa je dosegel Kubo kot izjemno nevaren orkan 3. kategorije, potem ko je prizadel Jamajko, kjer je postal najmočnejši zabeležen orkan. Na Karibih je zahteval sedem življenj, od tega tri na Jamajki. Zaradi močnega deževja in poplav se je moralo evakuirati več kot 735.000 ljudi.

29. okt 14:05

Orkan Melissa je po opustošenju Jamajke dosegel vzhodni del Kube, od Las Tunasa do Guantánama, in povzročil obsežne poplave ulic in domov. Kubanci so ga opisali kot najhujše, kar so doživeli. Orkan je prinesel močne padavine, sunke vetra in ciklonske valove v več vzhodnih provincah.

29. okt 18:15

Orkan Melissa je po opustošenju Jamajke nadaljeval pot proti severu in dosegel Kubo ter Haiti, kjer je zahteval več deset življenj. Na Haitiju je umrlo najmanj 43 ljudi. Orkan je povzročil uničenje, vključno z domovi brez streh, podrta električna omrežja in poplavljeno pohištvo. Nato se je orkan pomaknil proti Bahamom.

Orkan Melissa je po opustošenju Jamajke dosegel vzhodni del Kube, povzročil obsežne poplave in uničenje domov, Kubanci pa so ga opisali kot najhujšega doslej. Na Jamajki se je v zavetišča zateklo 25.000 ljudi, saj je orkan uničil domove in večino otoka pustil brez elektrike. Orkan je dosegel Kubo z vetrovi do 195 km/h.

Izvorni članki

Hurricane Melissa: Devastation in Jamaica at levels ‘never been seen before’
Hurricane Melissa: Devastation in Jamaica at le...
globalissues.org | 30. 10. 2025 6:09
Haiti, Jamaica and Cuba pick up the pieces afte...
clickondetroit.com | 30. 10. 2025 4:37
Hurricane Melissa Leaves Trail of Destruction a...
yomiuri.co.jp | 30. 10. 2025 2:08
Dozens dead as Hurricane Melissa wreaks havoc a...
business-standard.com | 30. 10. 2025 1:48
El huracán Melissa se encamina a las Bahamas tr...
lavoz.com.ar | 30. 10. 2025 1:10
Hurricane Melissa Hits Jamaica as Category 5, Dozens Dead Across Caribbean
Hurricane Melissa Hits Jamaica as Category 5, D...
theyeshivaworld.com | 30. 10. 2025 0:13
Hurricane Melissa kills at least 30 in the Cari...
bahamaspress.com | 29. 10. 2025 23:53
At least 25 dead in Haiti as Hurricane Melissa ...
independent.co.uk | 29. 10. 2025 23:13
Jamaicans begin surveying damage wrought by Hur...
cbsnews.com | 29. 10. 2025 23:12
Hurricane Melissa kills 25 in Haiti, nearly 30 ...
triblive.com | 29. 10. 2025 23:10
Melissa deja lluvias torrenciales en Cuba y más...
hoy.com.do | 29. 10. 2025 23:08
Hurricane Melissa leaves trail of devastation i...
nbcnews.com | 29. 10. 2025 23:05
Jamaica reabre aeropuertos tras el paso de Melissa
remolacha.net | 29. 10. 2025 22:46
Jamaica reabre sus aeropuertos tras el devastad...
elcomercio.pe | 29. 10. 2025 22:16
Jamaica reabre sus aeropuertos tras el devastad...
quepasanoticias.com | 29. 10. 2025 22:02
Hurricane Melissa leaves dozens dead in trail o...
japantoday.com | 29. 10. 2025 21:30
Hurricane Melissa Death Toll Crosses 30; Before...
timesnownews.com | 29. 10. 2025 21:10
Hurricane Melissa death toll at least 27 after ...
spokesman.com | 29. 10. 2025 20:43
King and Queen ‘deeply concerned’ by Hurricane ...
standard.co.uk | 29. 10. 2025 20:40
Hurricane Melissa leaves dozens dead amid destr...
thejournal.ie | 29. 10. 2025 20:36
Hurricane Melissa heads towards Bahamas after k...
straitstimes.com | 29. 10. 2025 20:32
Hurricane Melissa: Dozens killed as storm rips ...
channel4.com | 29. 10. 2025 20:03
Hurricane Melissa roars through Cuba after thrashing Jamaica, Haiti
Hurricane Melissa roars through Cuba after thra...
cyprus-mail.com | 29. 10. 2025 20:01
See the devastating effects of Melissa’s path t...
washingtonpost.com | 29. 10. 2025 19:56
Hurricane causes 'considerable' damage in Cuba, heads to Bahamas
Hurricane causes 'considerable' damage in Cuba,...
anews.com.tr | 29. 10. 2025 19:47
Deja 'Melissa' muertes en Haití y daños en Jama...
reforma.com | 29. 10. 2025 19:35
Hurricane Melissa: Category two storm makes lan...
thewest.com.au | 29. 10. 2025 19:21
Hurricane Melissa Leaves Trail of Death and Dev...
theyeshivaworld.com | 29. 10. 2025 19:15
Hurricane Melissa leaves dozens dead in trail o...
halifax.citynews.ca | 29. 10. 2025 19:10
Jamaica’s strongest-ever storm, Hurricane Meli...
nation.com.pk | 29. 10. 2025 19:00
Hurricane Melissa’s Path Of Destruction: Shocki...
newsone.com | 29. 10. 2025 18:31
Hurricane Melissa kills dozens in trail of dest...
silive.com | 29. 10. 2025 18:20
Hurricane Melissa Death Toll Increases as Haiti...
people.com | 29. 10. 2025 18:15
Dramatic video shows the awesome force of Hurri...
stuff.co.nz | 29. 10. 2025 18:12
25 dead in Haiti after Hurricane Melissa devast...
stluciachronicle.com | 29. 10. 2025 18:06
Jamaicans start to reveal devastation as hurric...
ieyenews.com | 29. 10. 2025 18:04
Hurricane Melissa leaves 25 dead in Haiti as Cu...
christianpost.com | 29. 10. 2025 18:03
Hurricane Melissa leaves dozens dead across Cuba, Haiti and Jamaica
Hurricane Melissa leaves dozens dead across Cub...
theage.com.au | 29. 10. 2025 18:00
Hurricane Melissa leaves dozens dead in trail o...
koreatimes.co.kr | 29. 10. 2025 17:57
Shocking images show devastation Hurricane Meli...
standard.co.uk | 29. 10. 2025 17:53
Dozens killed as Hurricane Melissa ravages Cuba, Haiti, Jamaica
Dozens killed as Hurricane Melissa ravages Cuba...
dailysabah.com | 29. 10. 2025 17:53
Hurricane Melissa Makes Landfall, Unleashing De...
ieyenews.com | 29. 10. 2025 17:29
Photos show the catastrophic damage Hurricane M...
businessinsider.com | 29. 10. 2025 17:08
Day After Hurricane Melissa Shows Catastrophic ...
dailycaller.com | 29. 10. 2025 16:58
Dozens killed after Hurricane Melissa makes landfall in Cuba, Haiti and Jamaica
Dozens killed after Hurricane Melissa makes lan...
africanews.com | 29. 10. 2025 16:47
El superhuracán Melissa toca tierra en Cuba con...
elclarinweb.com | 29. 10. 2025 16:45
Autoridades declaran a Jamaica “zona catastrófi...
hondudiario.com | 29. 10. 2025 16:36
Hurricane Melissa devastates Jamaica, charges into Cuba
staradvertiser.com | 29. 10. 2025 16:30
Cuba /Evacuó a más de 735.000 personas por la l...
laprensa.com.uy | 29. 10. 2025 16:24
Melissa se degrada a huracán categoría 2 tras c...
efectococuyo.com | 29. 10. 2025 16:01
Autoridades declaran a Jamaica “zona catastrófi...
elcomercio.pe | 29. 10. 2025 15:57
Hurricane Melissa Death Toll Rising after Jamai...
newsweek.com | 29. 10. 2025 15:55
Hurricane Melissa leaves 25 dead in Haiti, caus...
wwaytv3.com | 29. 10. 2025 15:49
Jamaica left reeling from hurricane
Jamaica left reeling from hurricane
wnyc.org | 29. 10. 2025 15:36
Jamaica devastated by worst hurricane strike in history
caymannewsservice.com | 29. 10. 2025 15:35
The deadly combination that made Hurricane Meli...
independent.co.uk | 29. 10. 2025 15:33
Hurricane Melissa leaves 25 dead in Haiti and causes damage in Jamaica and Cuba
Hurricane Melissa leaves 25 dead in Haiti and c...
irishexaminer.com | 29. 10. 2025 15:33
"Melissa" atravesó Cuba como un huracán categoría 3
informador.mx | 29. 10. 2025 15:20
After battering Jamaica, Hurricane Melissa makes Cuba landfall
After battering Jamaica, Hurricane Melissa make...
dailysabah.com | 29. 10. 2025 15:08
Hurricane Melissa hits Cuba after turning Jamai...
theguardian.com | 29. 10. 2025 15:06
El huracán Melissa, extremadamente peligroso, t...
proceso.hn | 29. 10. 2025 14:55
Jamaican police assess damage from Hurricane Melissa
nbcnews.com | 29. 10. 2025 14:49
Hurricane Melissa makes landfall in Cuba after ...
cbsnews.com | 29. 10. 2025 14:49
Hurricane Melissa churns across Cuba as Category 2 storm
Hurricane Melissa churns across Cuba as Categor...
irishexaminer.com | 29. 10. 2025 14:48
Downgraded Hurricane Melissa makes landfall in Cuba
newarab.com | 29. 10. 2025 14:47
Destrozos causados por Melissa en Santiago de Cuba
Destrozos causados por Melissa en Santiago de Cuba
radiotelevisionmarti.com | 29. 10. 2025 14:44
Hurricane Melissa leaves 25 dead in Haiti, caus...
wxxv25.com | 29. 10. 2025 14:35
What to know about Hurricane Melissa
wxxv25.com | 29. 10. 2025 14:35
Cubanos describen el paso del huracán por el oriente de la isla: "Lo peor que ha pasado por aquí" (VIDEO+Fotos)
Cubanos describen el paso del huracán por el or...
radiotelevisionmarti.com | 29. 10. 2025 14:33
Hurricane Melissa takes aim at Bahamas after ba...
nationalpost.com | 29. 10. 2025 14:29
Jamaica en zona catastrófica tras el paso del h...
laverdaddemonagas.com | 29. 10. 2025 14:27
El superhuracán Melissa toca tierra en Cuba
lajornadanet.com | 29. 10. 2025 14:24
Disastrous images emerge from Jamaica following...
martinsvilledaily.com | 29. 10. 2025 14:19
Jamaicans wake to devastation as hurricane caus...
newzimbabwe.com | 29. 10. 2025 14:17
Uragan pogodio Kubu i oslabio, na Jamajci strašni prizori
Uragan pogodio Kubu i oslabio, na Jamajci straš...
vecernji.ba | 29. 10. 2025 14:17
Jamaicans wake to devastation as hurricane caus...
myjoyonline.com | 29. 10. 2025 14:16
Melissa slams Cuba after tearing through Jamaica
omanobserver.om | 29. 10. 2025 14:13
Huracán 'Melissa' provoca inundaciones de calle...
excelsior.com.mx | 29. 10. 2025 14:05
Category 5 storm melissa devastates Jamaica
Category 5 storm melissa devastates Jamaica
africanews.com | 29. 10. 2025 14:02
Hurricane Melissa brings floods to Cuba after d...
vaticannews.va | 29. 10. 2025 14:02
Cuba in chaos as Hurricane Melissa strikes island while Trump mobilizes aid for devastating Jamaica aftermath: Live updates
Cuba in chaos as Hurricane Melissa strikes isla...
dailymail.co.uk | 29. 10. 2025 14:00
Hurricane Melissa slams Cuba after tearing through Jamaica
Hurricane Melissa slams Cuba after tearing thro...
anews.com.tr | 29. 10. 2025 13:52
Hurricane Melissa survivor describes storm maki...
cbsnews.com | 29. 10. 2025 13:32
Vacationer Surveys Hurricane Melissa Damage at ...
theyeshivaworld.com | 29. 10. 2025 13:30
Huracán Melissa tocó tierra en Cuba como catego...
vanguardia.com.mx | 29. 10. 2025 13:28
The Latest: Hundreds of thousands evacuate as H...
clickondetroit.com | 29. 10. 2025 13:24
Hurricane Melissa makes Cuba landfall after las...
nationalpost.com | 29. 10. 2025 13:14
Watch Live: Hurricane Melissa makes landfall in Cuba after pummeling Jamaica
Watch Live: Hurricane Melissa makes landfall in...
fox11la.com | 29. 10. 2025 13:07
Hurricane Melissa now on track to hit two more Caribbean destinations beloved by US tourists after hammering Jamaica and Cuba
Hurricane Melissa now on track to hit two more ...
dailymail.co.uk | 29. 10. 2025 12:45
Huracán Melissa vuelve a subir a categoría 4 tr...
lanacion.cl | 29. 10. 2025 12:42
Hurrikan - "Melissa" erreicht Kuba - Ausmaß auf...
deutschlandfunk.de | 29. 10. 2025 12:35
El poderoso huracán Melissa toca tierra en Cuba...
diarioelsalvador.com | 29. 10. 2025 12:25
Hurricane Melissa reaches Cuba after leaving pa...
pennlive.com | 29. 10. 2025 12:25
Jamaicans wake to devastation as hurricane caus...
saudigazette.com.sa | 29. 10. 2025 12:20
Melissa cruza lentamente sobre territorio cubano; EEUU activa ayuda para el Caribe
Melissa cruza lentamente sobre territorio cuban...
radiotelevisionmarti.com | 29. 10. 2025 12:11
El huracán Melissa se debilitó sobre Cuba, pero...
lavoz.com.ar | 29. 10. 2025 11:40
Hurricane Melissa Has Arrived in Cuba
nytimes.com | 29. 10. 2025 11:36
Melissa toca tierra en el este de Cuba como un ...
eldia.com.do | 29. 10. 2025 11:35
Jamaica has a history of dealing with powerful ...
martinsvilledaily.com | 29. 10. 2025 11:18
Jamaica a Disaster Area After Hurricane Melissa...
nbcnews.com | 29. 10. 2025 11:16
Hurricane Melissa live updates: Storm strikes C...
martinsvilledaily.com | 29. 10. 2025 11:09
Ouragan Melissa : la Jamaïque violemment frappée, Cuba et Haïti en « état d’alerte »
Ouragan Melissa : la Jamaïque violemment frappé...
nouvelobs.com | 29. 10. 2025 11:02
Hurricane Melissa makes landfall in Cuba after ...
dailyclimate.org | 29. 10. 2025 11:00
Watch Live: Hurricane Melissa makes landfall in Cuba after pummeling Jamaica
Watch Live: Hurricane Melissa makes landfall in...
fox2detroit.com | 29. 10. 2025 10:57
Category 5 Hurricane Melissa makes landfall in Jamaica
Category 5 Hurricane Melissa makes landfall in Jamaica
africanews.com | 29. 10. 2025 10:46
Downgraded Hurricane Melissa makes landfall in Cuba
bangkokpost.com | 29. 10. 2025 10:45
Hurricane Melissa Hits Cuba with 115 MPH Winds ...
people.com | 29. 10. 2025 10:39
Apokalipsa Uragan razneo Jamajku: Ostrvo pod vodom, ima mrtvih (video)
Apokalipsa Uragan razneo Jamajku: Ostrvo pod vo...
naslovi.net | 29. 10. 2025 10:36
Hurricane Melissa hits Cuba hours after devasta...
stabroeknews.com | 29. 10. 2025 10:27
EN VIVO: Melissa toca tierra en Cuba como huracán de categoría 3
EN VIVO: Melissa toca tierra en Cuba como hurac...
elvocero.com | 29. 10. 2025 10:25
Uragan "Melisa" ojačao: Kreće se ka Kubi, evaku...
portalanalitika.me | 29. 10. 2025 10:12
Melissa impacta el oriente de Cuba y el regimen encubre ausencia de Raúl Castro
Melissa impacta el oriente de Cuba y el regimen...
radiotelevisionmarti.com | 29. 10. 2025 10:10
Windows blown in, trees uprooted and croc warni...
namibian.com.na | 29. 10. 2025 10:04
Dopo la Giamaica l'uragano Melissa colpisce Cuba: 700mila sfollati
Dopo la Giamaica l'uragano Melissa colpisce Cub...
iltempo.it | 29. 10. 2025 10:01
Battered - Melissa wrecks havoc in Jamaica
jamaica-star.com | 29. 10. 2025 10:00
Hurricane Melissa hits Cuba hours after devasta...
deccanherald.com | 29. 10. 2025 9:54
Hurricane Melissa makes landfall in Cuba, over ...
saudigazette.com.sa | 29. 10. 2025 9:54
Hurricane Melissa hits Cuba hours after devasta...
adaderana.lk | 29. 10. 2025 9:48
El huracán Melissa tocó tierra en Cuba con vien...
teledoce.com | 29. 10. 2025 9:35
Category 5 Hurricane Melissa brings flooding an...
wwaytv3.com | 29. 10. 2025 9:28
Hurricane Melissa UPDATES: Storm Surges Towards...
cnbsnews.live | 29. 10. 2025 9:11
Melissa se degrada a categoría 3, pero golpea C...
excelsior.com.mx | 29. 10. 2025 8:58
Live Updates: Hurricane Melissa Makes Landfall ...
nytimes.com | 29. 10. 2025 8:50
"Extremely dangerous" Hurricane Melissa reaches...
cbsnews.com | 29. 10. 2025 8:35
Las imágenes que deja el huracán Melissa tras tocar tierra en Cuba y arrasar Jamaica
Las imágenes que deja el huracán Melissa tras t...
diariodeleon.es | 29. 10. 2025 8:29
Uragano Melissa si abbatte su Cuba, evacuate 700mila persone
Uragano Melissa si abbatte su Cuba, evacuate 70...
tgcom24.mediaset.it | 29. 10. 2025 8:26
Jamaica uitgeroepen tot rampgebied na doortocht...
metronieuws.nl | 29. 10. 2025 8:24
Hurricane Melissa hits Cuba after devastating J...
standard.co.uk | 29. 10. 2025 8:23
How to help Hurricane Melissa victims
kesq.com | 29. 10. 2025 8:20
Melissa se adentra en territorio cubano (Cobert...
trabajadores.cu | 29. 10. 2025 8:15
Huracán Melissa toca tierra en Cuba tras golpea...
diariolibre.com | 29. 10. 2025 8:12
Hurricane Melissa hits Cuba after devastating Jamaica
perthnow.com.au | 29. 10. 2025 8:09
Hurricane Melissa makes landfall in eastern Cub...
koreatimes.co.kr | 29. 10. 2025 7:57
Karibik: Hurrikan Melissa trifft auf Kuba
Karibik: Hurrikan Melissa trifft auf Kuba
zeit.de | 29. 10. 2025 7:55
Uragan Melisa opustošio Jamajku, kreće se ka Kubi
nedeljnik.rs | 29. 10. 2025 7:52
Jahrhundertsturm erreicht Kuba: Jamaika wegen Hurrikan „Melissa“ zum Katastrophengebiet erklärt
Jahrhundertsturm erreicht Kuba: Jamaika wegen H...
rp-online.de | 29. 10. 2025 7:42
Hurricane Melissa makes landfall in Cuba, NHC says
Hurricane Melissa makes landfall in Cuba, NHC says
thestar.com.my | 29. 10. 2025 7:32
Hurricane Melissa approaches Cuba with winds of...
protothema.gr | 29. 10. 2025 7:31
Hurricane Melissa weakened to a category 3 stor...
thejournal.ie | 29. 10. 2025 7:30
Nach Jamaika: Hurrikan „Melissa“ erreicht Kuba
Nach Jamaika: Hurrikan „Melissa“ erreicht Kuba
wiesbadener-kurier.de | 29. 10. 2025 7:24
Melissa toca tierra cubana por el municipio Gua...
cubadebate.cu | 29. 10. 2025 7:18
Hurricane Melissa takes aim at Cuba after roaring across Jamaica
Hurricane Melissa takes aim at Cuba after roari...
gulf-times.com | 29. 10. 2025 7:08
Cuba: arriva l'uragano Melissa, 700mila evacuati
Cuba: arriva l'uragano Melissa, 700mila evacuati
iltempo.it | 29. 10. 2025 7:00
Hurricane Melissa to cause worst impact of the ...
independent.co.ug | 29. 10. 2025 6:57
Jamaica's strongest-ever storm, Hurricane Melissa, turns to Cuba
Jamaica's strongest-ever storm, Hurricane Melis...
irishexaminer.com | 29. 10. 2025 6:54
Uragan Melisa jača i kreće se ka Kubi, evakuis...
sputnikportal.rs | 29. 10. 2025 6:16
Tras alcanzar vientos de hasta 295 km/h, el huracán Melissa golpeó en Jamaica y va por Cuba
Tras alcanzar vientos de hasta 295 km/h, el hur...
elpais.com.uy | 29. 10. 2025 6:15
Strašan uragan poharao Jamajku, ostrvo pod vodo...
telegraf.rs | 29. 10. 2025 6:14
Hurricane pummels Jamaica, takes aim at Cuba
news.rthk.hk | 29. 10. 2025 6:05
Hurricane Melissa makes landfall in Westmorelan...
stabroeknews.com | 29. 10. 2025 6:03
Hurricane Melissa brings flooding and catastrop...
business-standard.com | 29. 10. 2025 5:54
Jamaika zum Katastrophengebiet erklärt: Schwere...
ruhrnachrichten.de | 29. 10. 2025 5:49
VIDEO Monstruozni uragan razorio Jamajku, a sad ide prema Kubi. Ljudi u panici, štete su ogromne
VIDEO Monstruozni uragan razorio Jamajku, a sad...
slobodnadalmacija.hr | 29. 10. 2025 5:46
Huracán Melissa golpea Jamaica y ahora se dirig...
analitica.com | 29. 10. 2025 5:41
Hurricane Melissa live updates: storm strengthe...
theguardian.com | 29. 10. 2025 5:37
Hurricane Melissa charges toward Cuba after pum...
clickondetroit.com | 29. 10. 2025 5:29
Pogledajte što je ostalo od Jamajke
Pogledajte što je ostalo od Jamajke
jutarnji.hr | 29. 10. 2025 5:20
Jahrhundertsturm in der Karibik: Jamaika wegen Hurrikan „Melissa“ zum Katastrophengebiet erklärt
Jahrhundertsturm in der Karibik: Jamaika wegen ...
rp-online.de | 29. 10. 2025 5:18
Huracán Melissa baja a categoría 4, emergencia ...
occidente.co | 29. 10. 2025 5:14
Jamaica uitgeroepen tot rampgebied na doortocht...
gelderlander.nl | 29. 10. 2025 4:44
Catastrophic Category 5 Hurricane Melissa makes landfall in Jamaica
Catastrophic Category 5 Hurricane Melissa makes...
timesofoman.com | 29. 10. 2025 4:31
Hurricane Melissa floods parts of Jamaica
nbcnews.com | 29. 10. 2025 3:54
Hurricane Melissa LIVE Tracker: Hurricane Melis...
indianexpress.com | 29. 10. 2025 3:50
Huracán 'Melissa', hoy en directo: trayectoria,...
elperiodico.com | 29. 10. 2025 3:48
Hurricane Melissa turns to Cuba after hitting Jamaica as strongest-ever storm
Hurricane Melissa turns to Cuba after hitting J...
theherald.com.au | 29. 10. 2025 3:43
Huracán Melissa se degrada a categoría 3 rumbo a Cuba
sdpnoticias.com | 29. 10. 2025 3:25
Hurricane Melissa: ‘Unstoppable force’ batters Jamaica; Cuba on edge as storm nears – 10 key points
Hurricane Melissa: ‘Unstoppable force’ batters ...
indiatimes.com | 29. 10. 2025 3:18
Hurricane warning remains in effect for Jamaica
jamaica-star.com | 29. 10. 2025 3:12
Jamaica uitgeroepen tot rampgebied na doortocht orkaan Melissa
Jamaica uitgeroepen tot rampgebied na doortocht...
dagelijksestandaard.nl | 29. 10. 2025 3:01
„Unter Wasser“: Schwere Schäden auf Jamaika nach Hurrikan
„Unter Wasser“: Schwere Schäden auf Jamaika nac...
wiesbadener-kurier.de | 29. 10. 2025 2:49
Hurricane Melissa makes landfall in eastern Cub...
nbcwashington.com | 29. 10. 2025 2:41
Newsdeck: Jamaica’s strongest-ever storm, Hurri...
dailymaverick.co.za | 29. 10. 2025 2:40
Melissa arrasa Jamaica y ahora pone en jaque a ...
2001online.com | 29. 10. 2025 2:30
Powerful Hurricane Melissa kills 7, brings floo...
livemint.com | 29. 10. 2025 2:12
WATCH: Streets of Jamaica flood with water afte...
indianexpress.com | 29. 10. 2025 2:11
El huracán Melissa al ataque
El huracán Melissa al ataque
pagina12.com.ar | 29. 10. 2025 1:51
Over 530,000 Jamaicans Without Power
bitcoinethereumnews.com | 29. 10. 2025 1:39
Hurricane Melissa kills seven, devastates Jamai...
malaymail.com | 29. 10. 2025 1:20
Nach Hurrikan "Melissa": Jamaika zum Katastroph...
tagesschau.de | 29. 10. 2025 1:10
How to help those impacted by Hurricane Melissa
clickondetroit.com | 29. 10. 2025 1:06
Poderoso huracán Melissa golpea Jamaica y ahora...
nicaraguainvestiga.com | 29. 10. 2025 1:01
‘Catastrophic’ hurricane slams Jamaica with fie...
freemalaysiatoday.com | 29. 10. 2025 0:22
Category 5 Hurricane Melissa brings flooding and catastrophic winds to Jamaica
Category 5 Hurricane Melissa brings flooding an...
dailyrecord.co.uk | 29. 10. 2025 0:17
Hurricane Melissa brings flooding, catastrophic winds to Jamaica
Hurricane Melissa brings flooding, catastrophic...
thestar.com.my | 29. 10. 2025 0:11
Jamaika zum Katastrophengebiet erklärt
ruhrnachrichten.de | 29. 10. 2025 0:00
Karibik - Jamaika wegen Hurrikan zum Katastroph...
deutschlandfunk.de | 28. 10. 2025 23:55
<![CDATA[ Primeiro-ministro jamaicano declara país "zona de catástrofe" após furacão Melissa ]]>
<![CDATA[ Primeiro-ministro jamaicano declara p...
cmjornal.pt | 28. 10. 2025 23:43
Jamaica declarada "zona de catástrofe" após furacão Melissa
Jamaica declarada "zona de catástrofe" após fur...
noticiasaominuto.com | 28. 10. 2025 23:34
Jamaika zum Katastrophengebiet erklärt
merkur.de | 28. 10. 2025 23:01
APOKALIPSA Uragan razneo Jamajku: Ostrvo pod vo...
direktno.rs | 28. 10. 2025 23:00

Podobni članki

Jamajški umetniki pomagajo žrtvam orkana Melissa
zabava nesreče
Jamajški umetniki pomagajo žrtvam orkana Melissa

12. nov 6:05

Po uničujočem udaru orkana Melissa so se jamajški umetniki združili, da bi pomagali prizadetim. Zbirajo finančna sredstva in organizirajo dogodke za podporo prizadevanjem za obnovo in pomoč žrtvam.

Orkan Melissa prizadel Jamajko, turistična sezona kljub temu poteka
življenjski slog okolje
Orkan Melissa prizadel Jamajko, turistična sezona kljub temu poteka

11. nov 14:05

Jamajko je oktobra prizadel orkan Melissa, ki je povzročil znatno škodo. Čeprav so letališča ponovno odprta in številni hoteli poslujejo, razmere še niso popolnoma stabilizirane. Turistom svetujejo, naj se pred odhodom pozanimajo o trenutnem stanju in morebitnih omejitvah.

Preživeli tragedije v Armeru opozarjajo na nevarnost ob 40. obletnici
dom in vrt nesreče
Preživeli tragedije v Armeru opozarjajo na nevarnost ob 40. obletnici

13. nov 7:04

Diana Jiménez je kot desetletna deklica preživela uničujoč plaz, ki je sledil vulkanskemu izbruhu v Armeru. Ob 40. obletnici tragedije preživeli opozarjajo na opomin, ki ga ta dogodek še vedno nosi. Armero je bil popolnoma izbrisan, ostal je le siv madež v pokrajini.

Entitete in sentiment

Entiteta Sentiment
Melissa zelo negativno
Kuba Negativno
Jamajka zelo negativno
Chivirico Negativno
Santiago de Cuba Negativno
Miguel Díaz-Canel nevtralno
Raúl Castro nevtralno
Združene države Amerike nevtralno
WMO nevtralno
Xinhua nevtralno
Andrew Holness nevtralno
Nacionalni center za orkane nevtralno
Miami nevtralno
Haiti Negativno
Dominikanska republika Negativno
Las Tunas Negativno
Guantánamo Negativno
Karibi Negativno
Bahami Negativno
NOAA nevtralno
Panama zelo negativno
Christopher Bucktin nevtralno
Tim Hanlon nevtralno
Uragan Melisa zelo negativno
Kingston zelo negativno
Connecticut nevtralno
Bermudi Negativno
Združeni narodi Pozitivno
Atlantski ocean nevtralno
Chabad Negativno
Yaakov Raskin Pozitivno
Mushkee Raskin Pozitivno
Montego Bay Negativno
Jamajška policija nevtralno
Petit-Goave zelo negativno
Jason Allen nevtralno
BBC nevtralno
Jean Bertrand Subrème nevtralno
Desmond McKenzie nevtralno
Dennis Zulu nevtralno
Rdeči križ Negativno
Santa Cruz Negativno

Zakaj je novica relevantna za Slovenijo

Dogajanje je geografsko oddaljeno in nima neposrednega vpliva na Slovenijo.